Bauleitplanung in der Stadt Wadern
Auf dieser Seite finden Sie alle derzeit geplanten Maßnahmen im Stadtgebiet.
Zurzeit werden die Angaben aktualisiert. Wir bitten um Geduld.
Ansprechpartner
Isabella Sicks
Tel.: 06871 507-452
isicks@wadern.de
laufende Bauleitplanverfahren
Stadt Wadern, Stadtteil Büschfeld, Bebauungsplan „In der Au“
Beteiligung der Öffentlichkeit gem. § 3 Abs. 1 BauGB

Der Stadtrat Wadern hat in seiner Sitzung am 29.01.2026 den Beschluss zur Aufstellung des Bebauungsplans „In der Au“ in der Stadt Wadern im Stadtteil Büschfeld gefasst. Der Beschluss wird hiermit gem. § 2 Abs. 1 BauGB ortsüblich bekannt gemacht.
Das Ziel des Bebauungsplans „In der Au“ besteht darin, die rechtlichen Voraussetzungen für die Entwicklung neuer Gewerbeflächen zu schaffen. Hintergrund ist dabei die Betriebserweiterung einer ortsansässigen Dachdeckerfirma.
Der ca. 2.000m² große Geltungsbereich des Bebauungsplans ist aus nachfolgender Abbildung ersichtlich.
Der geplante Standort ist eine bereits teilweise gewerblich überformte und genutzte Fläche im Norden von Büschfeld. Unmittelbar westlich der Fläche schließt sich das Betriebsgelände des Unternehmens Saargummi an. Südöstlich des Planbereichs befindet sich das Gelände einer ehemaligen Modellbaufirma.
Um Baurecht für die Betriebserweiterung der Dachdeckerfirma zu schaffen, ist die Erstellung eines Bebauungsplans erforderlich. Für den betreffenden Bereich ist die Entwicklung eines Gewerbegebietes gemäß § 8 BauNVO geplant.
Nach § 3 Abs. 1 BauGB ist die Öffentlichkeit möglichst frühzeitig über die allgemeinen Ziele und Zwecke der Planung sowie deren voraussichtlichen Auswirkungen zu unterrichten.
Der Entwurf der Planunterlagen ist über das Internetportal der Stadt Wadern
ssl.wadern.de/bauen-umwelt/stadtentwicklung-stadtplanung/bauleitplanung elektronisch abrufbar.
Die Entwürfe der Planunterlagen sind zusätzlich im Rathaus der Stadt Wadern, Markplatz 13, 66687 Wadern, Zimmer C104, während der üblichen Dienststunden einsehbar.
In der Zeit vom 16. Februar 2026 bis 20. März 2026 (jeweils einschließlich) wird der Öffentlichkeit die Gelegenheit zur Einsicht, Äußerung und Erörterung gegeben. Es wird darauf hingewiesen, dass auch Kinder und Jugendliche Teil der Öffentlichkeit sind.
Während der Auslegungsfrist können von jedermann Stellungnahmen schriftlich, zur Niederschrift oder elektronisch per Mail vorgebracht werden, nicht fristgerecht vorgebrachte Stellungnahmen können bei der Beschlussfassung über den Bebauungsplan unberücksichtigt bleiben.
Wadern, den 05.02.2026
Der Bürgermeister
Jochen Kuttler
Teiländerung des Flächennutzungsplanes im Bereich des vorhabenbezogenen Bebauungsplanes mit Vorhaben- und Erschließungsplan „Waldhafen - Hotel und Spa“ in der Stadt Wadern, Stadtteil Lockweiler
Bekanntmachung des Beschlusses zur Einleitung des Verfahrens, sowie der Veröffentlichung im Internet und der Auslegung zur frühzeitigen Beteiligung der Öffentlichkeit gem. § 3 Abs. 1 BauGB


Gemäß § 2 Abs. 1 BauGB, in der Fassung der Bekanntmachung vom 03. November 2017 (BGBl. I S. 3634), unter Berücksichtigung der aktuell gültigen Änderungen, wird hiermit öffentlich bekannt gemacht, dass der Stadtrat in öffentlicher Sitzung am 29.01.2026 die Einleitung des Verfahrens zur Teiländerung des Flächennutzungsplanes im Bereich des vorhabenbezogenen Bebauungsplanes mit Vorhaben- und Erschließungsplan „Waldhafen - Hotel und Spa“ gefasst hat.
Gegenstand der Teiländerung des Flächennutzungsplanes ist die Darstellung einer Sonderbaufläche mit Grünfläche, um die Weiterentwicklung zu einem Hotel planerisch vorzubereiten. Aktuell stellt der Flächennutzungsplan Wohnbaufläche und Fläche für die Landwirtschaft dar.
Die Grenze des räumlichen Geltungsbereiches der Teiländerung umfasst den Geltungsbereich des vorhabenbezogenen Bebauungsplanes mit Vorhaben- und Erschließungsplan „Waldhafen - Hotel und Spa“. Die genauen Grenzen des Geltungsbereiches der Teiländerung des Flächennutzungsplanes sind dem beigefügten Lageplan zu entnehmen. Er umfasst eine Fläche von ca. 8.900 m2.
Die BürgerInnen sind im Rahmen der frühzeitigen Beteiligung über die Ziele und Zwecke der Planung zu informieren.
Gemäß § 3 Abs. 1 BauGB, in der Fassung der Bekanntmachung vom 03. November 2017 (BGBl. I S. 3634), unter Berücksichtigung der aktuell gültigen Änderungen, wird hiermit öffentlich bekannt gemacht, dass der Entwurf der Flächennutzungsplanteiländerung, mit zugehöriger Begründung und zugehörigem Entwurf des Umweltberichtes, in der Zeit vom 09.02.2026 bis einschließlich 13.03.2026 auf der Internetseite der Stadt (unter www.ssl.wadern.de) unter folgendem Pfad: ssl.wadern.de/bauen-umwelt/stadtentwicklung-stadtplanung/bauleitplanung, veröffentlicht und zur Ansicht und zum Herunterladen bereitgehalten werden. Der Inhalt der Bekanntmachung ist ebenfalls ins Internet eingestellt.
Die oben genannten Unterlagen können während des oben genannten Zeitraums zusätzlich im Rathaus der Stadt, Marktplatz 13, 66687 Wadern, Zimmer Nr. C104, während der folgenden allgemeinen Dienststunden eingesehen werden: in der Zeit vom 09.02.2026 bis einschließlich 13.03.2026.
Im Rahmen der Teiländerung des Flächennutzungsplanes wird eine Umweltprüfung gem. § 2 Abs. 4 BauGB durchgeführt und ein Umweltbericht gem. § 2a BauGB erstellt. Der Umweltbericht gem. § 2a BauGB wird nach Abschluss der frühzeitigen Beteiligung der Öffentlichkeit und der Behörden und sonstiger Träger öffentlicher Belange sowie der Nachbargemeinden gem. § 3 Abs. 1 BauGB, § 4 Abs. 1 BauGB und § 2 Abs. 2 BauGB fertiggestellt.
Während der zuvor genannten Frist können von jedermann Stellungnahmen elektronisch per E-Mail, bei Bedarf auch schriftlich oder zur Niederschrift, vorgebracht werden.
Der Bürgermeister
Vorhabenbezogener Bebauungsplan mit Vorhaben- und Erschließungsplan „Waldhafen - Hotel und Spa“ in der Stadt Wadern, Stadtteil Lockweiler
Bekanntmachung des Beschlusses zur Einleitung des Verfahrens zur Aufstellung des vorhabenbezogenen Bebauungsplanes mit Vorhaben- und Erschließungsplan, sowie der Veröffentlichung im Internet und der Auslegung zur frühzeitigen Beteiligung der Öffentlichkei


Gemäß § 2 Abs. 1 BauGB, in der Fassung der Bekanntmachung vom 03. November 2017 (BGBl. I S. 3634), unter Berücksichtigung der aktuell gültigen Änderungen, wird hiermit öffentlich bekannt gemacht, dass der Stadtrat in öffentlicher Sitzung am 29.01.2026 die Einleitung des Verfahrens zur Aufstellung des vorhabenbezogenen Bebauungsplanes mit Vorhaben- und Erschließungsplan „Waldhafen - Hotel und Spa“ beschlossen hat.
Die Vorhabenträgerin, Frau Susanne Herzberger, beabsichtigt im Stadtteil Lockweiler der Stadt Wadern am Ende des Steinkreuzwegs ein inhabergeführtes Boutique-Hotel, das Natur, Kulinarik und Wellness harmonisch vereint, neu eröffnen. Es handelt sich um das ehemalige Hotel und Restaurant „Castello Bianco“. Für die Neueröffnung sind der Umbau des Bestandsgebäudes, ein Erweiterungsbau an das bestehende Gebäude in Richtung Norden sowie weitere bauliche Anlagen in östliche Richtung geplant. Es sind ein Gastronomiebereich, Räume für Kosmetik- und Massageanwendungen sowie für Yoga und Gymnastik, ein Wellnessbereich sowie Suiten und Doppelzimmer im Hauptgebäude geplant. Außerdem ist ein Gartenpavillon für z. B. Eventveranstaltungen und Yogaretreats sowie ein Nebengebäude zur Unterbringung von typischen Nutzfahrzeugen und Gerätschaften für den Hotel- und Gastronomiebetrieb vorgesehen. Die Außenanlage ist als Hotelgarten zum Entspannen und Wohlfühlen geplant. In einem zukünftigen zweiten Bauabschnitt sind weitere Hotelzimmer vorgesehen.
Die Erschließung der Bebauung ist über den Steinkreuzweg bzw. den daran anschließenden, noch auszubauenden, Feldwirtschaftsweg geplant.
Zur Unterbringung des ruhenden Verkehrs werden innerhalb des Geltungsbereiches ausreichend Stellplätze sowohl oberirdisch als auch unterirdisch in einer Tiefgarage errichtet.
Aktuell beurteilt sich die planungsrechtliche Zulässigkeit entlang des Steinkreuzwegs nach § 34 BauGB, im Übrigen nach § 35 BauGB (Außenbereich). Danach ist die Planung nicht realisierungsfähig. Es bedarf daher der Aufstellung eines vorhabenbezogenen Bebauungsplanes mit Vorhaben- und Erschließungsplan.
Der vorhabenbezogene Bebauungsplan mit Vorhaben- und Erschließungsplan wird für das Gelände des ehemaligen Hotels und Restaurants „Castello Bianco“ aufgestellt. Das Plangebiet befindet sich am Ende des Steinkreuzwegs. Im Süden wird das Plangebiet durch die Wohnbebauung des Steinkreuzwegs (Hs.-Nr. 16) und der Straße „Zum Funkenbruch“ (Hs.-Nr. 1, 3 und 5) begrenzt. Im direkt angrenzenden nördlichen und östlichen Umfeld befinden sich Freiflächen mit Gehölzstrukturen.
Die genauen Grenzen des Geltungsbereiches des vorhabenbezogenen Bebauungsplanes mit Vorhaben- und Erschließungsplan sind dem beigefügten Lageplan zu entnehmen. Er umfasst insgesamt eine Fläche von ca. 8.900 m2.
Der Flächennutzungsplan der Stadt Wadern stellt den Geltungsbereich des vorhabenbezogenen Bebauungsplanes mit Vorhaben- und Erschließungsplan derzeit noch als Wohnbaufläche und Fläche für die Landwirtschaft dar. Der vorliegende Bebauungsplan widerspräche aktuell damit dem Entwicklungsgebot gem. § 8 Abs. 2 BauGB, wonach Bebauungspläne aus dem Flächennutzungsplan zu entwickeln sind. Aus diesem Grund wird für den Geltungsbereich des vorhabenbezogenen Bebauungsplans mit Vorhaben- und Erschließungsplan der Flächennutzungsplan im Parallelverfahren gem. § 8 Abs. 3 BauGB teilgeändert.
Gemäß § 3 Abs. 1 BauGB, in der Fassung der Bekanntmachung vom 03. November 2017 (BGBl. I S. 3634), unter Berücksichtigung der aktuell gültigen Änderungen, wird hiermit öffentlich bekannt gemacht, dass der Entwurf des vorhabenbezogenen Bebauungsplanes, bestehend aus der Planzeichnung (Teil A), dem Textteil (Teil B), dem Vorhaben- und Erschließungsplan (Teil C) und der Begründung sowie dem Entwurf des Umweltberichtes, in der Zeit vom 09.02.2026 bis einschließlich 13.03.2026 auf der Internetseite der Stadt (unter www.ssl.wadern.de) unter folgendem Pfad: ssl.wadern.de/bauen-umwelt/stadtentwicklung-stadtplanung/bauleitplanung, veröffentlicht und zur Ansicht und zum Herunterladen bereitgehalten werden. Der Inhalt dieser Bekanntmachung ist ebenfalls ins Internet eingestellt.
Die oben genannten Unterlagen können während des oben genannten Zeitraums zusätzlich im Rathaus der Stadt, Marktplatz 13, 66687 Wadern, Zimmer Nr. C104, während der folgenden allgemeinen Dienststunden eingesehen werden: in der Zeit vom 09.02.2026 bis einschließlich 01.03.2026.
Im Rahmen der Aufstellung des vorhabenbezogenen Bebauungsplanes mit Vorhaben- und Erschließungsplan wird eine Umweltprüfung gem. § 2 Abs. 4 BauGB durchgeführt und ein Umweltbericht gem. § 2a BauGB erstellt. Der Umweltbericht gem. § 2a BauGB wird nach Abschluss der frühzeitigen Veröffentlichung im Internet und öffentlichen Auslegung gem. § 3 Abs. 1 BauGB, § 4 Abs. 1 BauGB und § 2 Abs. 2 BauGB fertiggestellt.
Während der Veröffentlichungsfrist können von jedermann Stellungnahmen elektronisch per E-Mail, bei Bedarf auch schriftlich oder zur Niederschrift, vorgebracht werden.
Der Bürgermeister
Bauleitplanverfahren Golfpark Nunkirchen
Stadt Wadern, Stadtteil Nunkirchen, Bekanntmachung zur Durchführung der Beteiligung der Öffentlichkeit gemäß § 3 Abs. 2 BauGB zum Bebauungsplan „Golfpark Weiherhof – 2. Änderung und Erweiterung“ sowie zur Änderung des Flächennutzungsplans für einen Teilbereich des Bebauungsplans.
Der Stadtrat Wadern hat in seiner Sitzung am 28.11.2025 den Entwurf des vorhabenbezogenen Bebauungsplanes „Golfpark Weiherhof – 2. Änderung und Erweiterung“ sowie den Entwurf zur Änderung des Flächennutzungsplans für einen Teilbereich des Bebauungsplans gebilligt und die Durchführung der öffentlichen Beteiligung gem. § 3 Abs. 2 BauGB beschlossen.
Der Planbereich befindet sich der Stadt Wadern, im Stadtteil Nunkirchen. Der Geltungsbereich des Bebauungsplans ist in der nachstehenden Abbildung umrandet (schwarz-gestrichelt), der Bereich der Teiländerung des Flächennutzungsplans ist schraffiert.
Abbildung des Geltungsbereichs des Bebauungsplans (schwarz-gestrichelt) und der Änderung des Flächennutzungsplans für einen Teilbereich des Bebauungsplans (schraffiert), genordet, ohne Maßstab.
Die Beteiligung der Öffentlichkeit gemäß § 3 Abs. 2 BauGB (Veröffentlichung im Internet / Offenlage) erfolgt in der Zeit vom 19.01.2026 bis einschließlich 20.02.2026.
Der Entwurf der Planunterlagen (Bebauungsplan/Änderung des Flächennutzungsplans), die nach Einschätzung der Stadt wesentlichen bereits vorliegenden umweltbezogenen Stellungnahmen und Informationen sowie der Inhalt der ortsüblichen Bekanntmachung sind über das Internetportal der Stadt Wadern ssl.wadern.de/bauen-umwelt/stadtentwicklung-stadtplanung/bauleitplanung elektronisch abrufbar.
Die Entwürfe der Planunterlagen sind zusätzlich im Rathaus der Stadt Wadern, Markplatz 13, 66687 Wadern, Zimmer C104, während der üblichen Dienststunden einsehbar.
Der Inhalt der ortsüblichen Bekanntmachung nach § 3 Abs. 2 Satz 4 BauGB und die nach § 3 Abs. 2 Satz 1 BauGB auszulegenden Unterlagen sind zusätzlich über das zentrale Internetportal des Landes (https://www.uvp-verbund.de/freitextsuche?q=wadern&layer=zv) elektronisch abrufbar.
Zusammen mit dem Entwurf des Bebauungsplans/ der Änderung des Flächennutzungsplans werden der Umweltbericht, die Artenschutzprüfung, Fachgutachten sowie die wesentlichen umweltbezogenen Stellungnahmen ausgelegt.
Die wesentlichen umweltbezogenen Stellungnahmen gem. BauGB § 3 Abs. 2 Satz 1 umfassen Aussagen zu folgenden Themen:
• Gebiets- und anlagenbezogener Grundwasserschutz, Bodenschutz und Geologie, Gewässerschutz, Gewässerentwicklung und Hochwasserschutz, Natur- und Artenschutz (Umwandlung von Waldflächen, Vorranggebiet Landwirtschaft, Landschaftspflegerische Maßnahmen, Eingriffs-/Ausgleichsbilanzierung, Landschaftsschutzgebiet, Artenschutzuntersuchungen, Lärmschutz/ Lichtimmissionen (Landesamt für Umwelt- und Arbeitsschutz),
• Rodung von Waldflächen (Saarwaldverein e.V.),
• Begehungen zur Erfassung relevanter Tierarten und Artengruppen, Bewertung von Randeffekten, Verkehrsgutachten, Konzentration von Planungen (NABU Saarland e.V.).
An wesentlichen umweltbezogenen Informationen gem. BauGB § 3 Abs. 2 Satz 4 stehen weiterhin zur Verfügung:
• Informationen des Umweltberichtes,
• Informationen zu den Themen Arten und Biotope, Boden, Wasserhaushalt (Grundwasser, Oberflächengewässer), Wirkungsgefüge der abiotischen und biotischen Schutzgüter, Landschaftsbild, Klima/ Luftqualität, Kultur- und Sachgüter, interne und externe Vermeidungs-, Verringerungs- und Kompensationsmaßnahmen,
• Informationen zu Landschaftspflegerischen Maßnahmen,
• Informationen zum Artenschutz,
• Fachgutachten (Gutachten zum Vorkommen der Haselmaus, Gutachten zur Avifauna, Gutachten zur Fledermausfauna).
Während der Auslegungsfrist können Stellungnahmen schriftlich, zur Niederschrift oder elektronisch per Mail an die E-Mail-Adresse isicks@wadern.de vorgebracht werden, nicht fristgerecht vorgebrachte Stellungnahmen können bei der Beschlussfassung über den Bebauungsplan unberücksichtigt bleiben.
Wadern, den 08.01.2026
Der Bürgermeister
Jochen Kuttler
Stadt Wadern, Stadtteil Wadern, Bebauungsplan „Katzenrech II. BA“ mit paralleler Teiländerung des Flächennutzungsplans:
Beteiligung der Öffentlichkeit gem. § 3 Abs. 1 BauGB
Der Stadtrat Wadern hat in seiner Sitzung am 26.01.2023 den Beschluss zur Aufstellung des Bebauungsplans „Katzenrech II. BA“ in der Stadt Wadern im Stadtteil Wadern gefasst.
Das Ziel des Bebauungsplans „Katzenrech II. BA“ besteht darin, die rechtlichen Voraussetzungen für die Entwicklung neuer Wohnflächen zu schaffen. Durch die geplante Flächenentwicklung soll die Wohnsituation in Wadern verbessert und das Angebot für zukünftige Bewohner erweitert werden.
Da die Kapazitäten in den bestehenden Wohngebieten Waderns nahezu ausgeschöpft sind, ist diese neue Gebietsentwicklung notwendig, um den mittelfristigen Bedarf zu decken.
Städtebaulich und gestalterisch verfolgt die Planung das Ziel, die neuen Gebäude harmonisch in das bestehende Umfeld einzufügen. Dabei werden Maßstab und gestalterische Merkmale der umliegenden Bebauung berücksichtigt und weitergeführt, um ein einheitliches und ansprechendes Wohnumfeld zu schaffen.
Neben der Schaffung von Wohnbauflächen sieht die Planung auch die Entwicklung von Flächen für den Gemeinbedarf vor. Damit wird die Grundlage für den Bau öffentlicher Einrichtungen geschaffen.
Mit der Aufstellung des Bebauungsplans erfolgt für den Planbereich im so genannten Parallelverfahren eine Teiländerung des Flächennutzungsplans der Stadt Wadern.
Nach § 3 Abs. 1 BauGB ist die Öffentlichkeit möglichst frühzeitig über die allgemeinen Ziele und Zwecke der Planung sowie deren voraussichtlichen Auswirkungen zu unterrichten.
Der Entwurf der Planunterlagen (Bebauungsplan/Änderung des Flächennutzungsplans) ist abrufbar.
Die Entwürfe der Planunterlagen sind zusätzlich im Rathaus der Stadt Wadern, Markplatz 13, 66687 Wadern, Zimmer C104, während der üblichen Dienststunden einsehbar.
In der Zeit vom 15. Dezember 2025 bis 30. Januar 2026 (jeweils einschließlich) wird der Öffentlichkeit die Gelegenheit zur Einsicht, Äußerung und Erörterung gegeben. Es wird darauf hingewiesen, dass auch Kinder und Jugendliche Teil der Öffentlichkeit sind.
Während der Auslegungsfrist können von jedermann Stellungnahmen schriftlich, zur Niederschrift oder elektronisch per Mail an die E-Mail-Adresse stadt@wadern.de vorgebracht werden, nicht fristgerecht vorgebrachte Stellungnahmen können bei der Beschlussfassung über den Bebauungsplan unberücksichtigt bleiben.
Wadern, den 05.12.2025
Der Bürgermeister
Jochen Kuttler
Fortschreibung des sachlichen Teilflächennutzungsplanes "Windenergie" in der Stadt Wadern
Bekanntmachung des Beschlusses zur Einleitung des Verfahrens sowie der Veröffentlichung im Internet und der Auslegung zur frühzeitigen Beteiligung der Öffentlichkeit gem. § 3 Abs. 1 BauGB
Gemäß § 2 Abs. 1 BauGB, in der Fassung der Bekanntmachung vom 03. November 2017 (BGBl. I S. 3634), unter Berücksichtigung der aktuell gültigen Änderungen, wird hiermit öffentlich bekannt gemacht, dass der Stadtrat in öffentlicher Sitzung am 28.11.2025 den Beschluss zur Einleitung des Verfahrens zur Fortschreibung des sachlichen Teilflächennutzungsplanes "Windenergie" gefasst hat.
Die Stadt Wadern hat in der Vergangenheit Gebiete für Windenergieanlagen im Flächennutzungsplan ausgewiesen. Die Zielvorgaben des Saarländischen Flächenzielgesetz (SFZG), wonach bis 31.12.2027 1,90% und bis 31.12.2030 3,46% der Stadtfläche bzw. ca. 385 ha für Windenergie auszuweisen sind, werden nach derzeitigem Kenntnisstand nicht erfüllt. Um diese Ziele als Stadt zu erfüllen, ist die Fortschreibung des sachlichen Teilflächennutzungsplanes „Windenergie“ gem. § 5 Abs. 2b BauGB somit erforderlich.
Zentrale Folge einer Zielverfehlung wäre, dass Windenergieanlagen als privilegierte Vorhaben gemäß § 249 Abs. 7 BauGB gelten, denen öffentliche Belange nicht entgegengehalten werden können. Mithin könnten unerwünschte Entwicklungen im Stadtgebiet, insbesondere was den Wildwuchs von Windenergieanlagen anbetrifft, nicht vermieden werden.
Gegenstand des sachlichen Teilflächennutzungsplanes ist die Darstellung von Sonderbauflächen für Windenergieanlagen, um die Errichtung von Windenergieanlagen planerisch vorzubereiten und das kommunale Teilflächenziel der Stadt gem. § 4 SFZG zu erreichen.
Der sachliche Teilflächennutzungsplan wird für das gesamte Stadtgebiet aufgestellt. Die Grenzen des Geltungsbereiches des sachlichen Teilflächennutzungsplanes entsprechen dem Stadtgebiet und sind dem beigefügten Lageplan zu entnehmen.
Die BürgerInnen sind im Rahmen der frühzeitigen Beteiligung über die Ziele und Zwecke der Planung zu informieren.
Gemäß § 3 Abs. 1 BauGB, in der Fassung der Bekanntmachung vom 03. November 2017 (BGBl. I S. 3634), unter Berücksichtigung der aktuell gültigen Änderungen, wird hiermit öffentlich bekannt gemacht, dass der Entwurf der Flächennutzungsplanteiländerung, bestehend aus dem Plan und der Begründung, in der Zeit vom 08.12.2025 bis einschließlich 16.01.2026 auf der Internetseite der Stadt (unter www.wadern.de) unter folgendem Pfad: ssl.wadern.de/bauen-umwelt/stadtentwicklung-stadtplanung/bauleitplanung, veröffentlicht und zur Ansicht und zum Herunterladen bereitgehalten werden. Der Inhalt der Bekanntmachung ist ebenfalls ins Internet eingestellt.
Die oben genannten Unterlagen können während des oben genannten Zeitraums zusätzlich im Rathaus der Stadt, Marktplatz 13, Zimmer Nr.C104, während der folgenden allgemeinen Dienststunden eingesehen werden: in der Zeit vom 08.12.2025 bis einschließlich 16.01.2026.
Im Rahmen der Teiländerung des Flächennutzungsplanes wird eine Umweltprüfung gem. § 2 Abs. 4 BauGB durchgeführt und ein Umweltbericht gem. § 2a BauGB erstellt. Der Umweltbericht gem. § 2a BauGB wird nach Abschluss der frühzeitigen Beteiligung der Öffentlichkeit und der Behörden und sonstiger Träger öffentlicher Belange sowie der Nachbargemeinden gem. § 3 Abs. 1 BauGB, § 4 Abs. 1 BauGB und § 2 Abs. 2 BauGB erstellt.
Während der zuvor genannten Frist können von jedermann Stellungnahmen elektronisch per E-Mail an die Email-Adresse: isicks@wadern.de, bei Bedarf auch schriftlich oder zur Niederschrift, vorgebracht werden.
Wadern,
Der Bürgermeister
Teilflächennutzungsplan Windenergie
Abrundungssatzung "Im Borflur" in der Stadt Wadern, Stadtteil Steinberg
Bekanntmachung des Beschlusses zur Einleitung des Verfahrens zur Aufhebung der Abrundungssatzung sowie der Veröffentlichung im Internet und der Auslegung zur formellen Beteiligung der Öffentlichkeit gem. § 4 Abs. 2 BauGB
Gemäß § 2 Abs. 1 BauGB, in der Fassung der Bekanntmachung vom 03. November 2017 (BGBI. I S. 3634), zuletzt geändert durch Art. 5 des Gesetzes vom 12. August 2025 (BGBl. 2025 I Nr. 189), wird hiermit öffentlich bekannt gemacht, dass der Stadtrat in öffentlicher Sitzung am 28.11.2025 die Einleitung des Verfahrens zur Aufhebung der Abrundungssatzung „Im Borflur“ vom 12.02.1987 beschlossen hat.
Die Abrundungssatzung „Im Borflur“ gem. § 34 Abs. 2 BBauG (Fassung vom 06.07.1979) aus dem Jahr 1987 umfasst die angrenzenden Grundstücke der gleichnamigen Straße. Bis auf ein Wohnhaus (Hausnummer 2) erfolgte jedoch keine Aufsiedlung der südwestlichen Straßenseite.
Die Stadt sieht sich aus städtebaulichen Gründen veranlasst, zukünftig keine weitere Wohnbebauung über die vorhandene Bebauung hinaus zuzulassen. Außerdem bestehen Zweifel, dass die Satzung seinerzeit rechtsfehlerfrei zustande gekommen ist.
Daher ist das Ziel des Verfahrens die vorliegende Satzung aufzuheben. Der bebaute Bereich auf der anderen Straßenseite ist weiterhin § 34 BauGB (Innenbereich) zuzuordnen. Durch die Aufhebung der Satzung ist der südwestlich des Straßenkörpers gelegene Bereich § 35 BauGB (Außenbereich) zuzuordnen. An dieser Stelle besteht dann kein Baurecht in Form einer Satzung mehr (aktuell Bebaubarkeit sowieso wegen fehlender Erschließung nicht gegeben), so dass künftig nur noch privilegierte Nutzungen zulassungsfähig sind.
Die Satzung wurde für den Bereich der Straße "Im Borflur" aufgestellt. Der Geltungsbereich endet im Nordwesten vor den Grundstücken der Wohnbebauung Wadriller Straße Hausnummer 20 und 30. Im Nordosten des Geltungsbereichs grenzen die Grundstücke der Wadriller Straße Hausnummer 44 und 46 an. Im Südosten liegen Brach- bzw. Gehölzflächen. Im Südwesten grenzen die rückwärtigen Freiflächen der Bebauung der Eichenlaubstraße an den Geltungsbereich an.
Die genauen Grenzen des Geltungsbereiches der aufzuhebenden Satzung sind dem beigefügten Lageplan zu entnehmen. Er umfasst insgesamt eine Fläche von ca. 9.000 m2.
Der aktuell rechtswirksame Flächennutzungsplan der Stadt Wadern aus dem Jahr 2006 stellt für das Gebiet im bebauten Bereiche eine Wohnbaufläche, sowie auf der unbebauten Seite im Süden eine Fläche für die Landwirtschaft und eine Fläche für Wald dar. Die Stadt sieht sich aus städtebaulichen Gründen veranlasst, nun dem Entwicklungsgebot Rechnung zu tragen und diesen Bereich an den Flächennutzungsplan anzupassen. Das Entwicklungsgebot gem. § 8 Abs. 2 BauGB wird durch die Aufhebung erfüllt (lediglich die heute bereits bebaute Fläche ist im FNP als Wohnbaufläche dargestellt).
Bei der Aufstellung von Satzungen nach § 34 Abs. 4 Satz 1 Nr. 3 BauGB sind die Vorschriften über die Öffentlichkeits- und Behördenbeteiligung nach § 13 Abs. 2 Satz 1 Nr. 2 und 3 sowie Satz 2 BauGB entsprechend anzuwenden. Dies gilt auch für den Fall der Aufhebung entsprechender Satzungen.
Gemäß § 3 Abs. 2 BauGB, in der Fassung der Bekanntmachung 03. November 2017 (BGBl. I S. 3634), zuletzt geändert durch Art. 5 des Gesetzes vom 12. August 2025 (BGBl. 2025 I Nr. 189), wird hiermit öffentlich bekannt gemacht, dass der Entwurf zur Aufhebung der Satzung, bestehend aus dem Plan und der Begründung, in der Zeit vom 08.12.2025 bis einschließlich 16.01.2026 auf der Internetseite der Stadt (unter ssl.wadern.de) unter folgendem Pfad: ssl.wadern.de/bauen-umwelt/stadtentwicklung-stadtplanung/bauleitplanung, veröffentlicht und zur Ansicht und zum Herunterladen bereitgehalten werden. Der Inhalt dieser Bekanntmachung ist ebenfalls ins Internet eingestellt.
Die oben genannten Unterlagen können während des oben genannten Zeitraums zusätzlich im Rathaus der Stadt, Marktplatz 13, Zimmer Nr. C104, während der folgenden allgemeinen Dienststunden eingesehen werden: in der Zeit vom 08.12.2025 bis einschließlich 16.01.2026.
Der Inhalt dieser ortsüblichen Bekanntmachung nach § 3 Abs. 2 Satz 4 BauGB und die nach § 3 Abs. 2 Satz 1 BauGB auszulegenden Unterlagen sind zusätzlich über das zentrale Internetportal des Landes (https://www.uvp-verbund.de/kartendienste) elektronisch abrufbar.
Während der zuvor genannten Frist können von jedermann Stellungnahmen elektronisch per Mail an die E-Mail-Adresse isicks@wadern.de, bei Bedarf auch schriftlich oder zur Niederschrift vorgebracht werde. Nicht fristgerecht vorgebrachte Stellungnahmen können bei der Beschlussfassung über die Aufhebung der Satzung unberücksichtigt bleiben, sofern die Kommunen deren Inhalt nicht kannte und nicht hätte kennen müssen und deren Inhalt für die Rechtmäßigkeit der Aufhebung der Satzung nicht von Bedeutung ist.
Wadern, Datum, Siegel Der Bürgermeister
Aufhebung Satzung Borflur
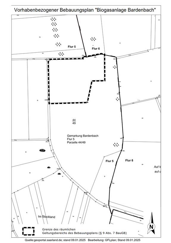
Aufstellung des vorhabenbezogenen Bebauungsplanes "Biogasanlage Bardenbach" mit paralleler Teiländerung des Flächennutzungsplanes
Bekanntmachung des Aufstellungsbeschluss gemäß § 2 (1) BauGB und der Frühzeitigen Beteiligung der Öffentlichkeit gemäß § 3 (1) BauGB

Gemäß § 2 Abs. 1 Baugesetzbuch (BauGB), wird hiermit öffentlich bekannt gemacht, dass der Rat der Stadt Wadern in seiner Sitzung am 27.03.2025 beschlossen, gemäß § 2 BauGB im Stadtteil Bardenbach einen vorhabenbezogenen Bebauungsplan mit der Bezeichnung „Biogasanlage Bardenbach“ aufzustellen und parallel den Flächennutzungsplan im Geltungsbereich des Bebauungsplans zu ändern.
Weiterhin hat der Rat der Stadt Wadern in seiner öffentlichen Sitzung am 22.05.2025 die Vorentwürfe des vorhabenbezogenen Bebauungsplanes "Biogasanlage Bardenbach" und der Flächennutzungsplanteiländerung gebilligt und die frühzeitige Beteiligung gemäß § 3 Abs. 1 und § 4 Abs. 1 BauGB beschlossen.
Ziel des Bebauungsplanes und der FNP-Teiländerung ist die die Errichtung der „Biogasanlage Bardenbach“ mit einer Gesamtleistung von 1,3 Mio. kWh/a Strom. Mit der Aufstellung des Bebauungsplanes leistet die Stadt Wadern einen wichtigen Beitrag die Nutzung regenerativer Energien in der Stadt Wadern zu fördern.
Die Biogasanlage soll auf privaten Eigentumsflächen des Betreibers, einer Teilfläche des bestehenden Abbau- und Deponie-Betriebs der SMR GmbH Sandgrube Wadern verwirklicht werden.
Da es sich um ein konkretes Vorhaben eines Investors handelt, wird ein vorhabenbezogener Bebauungsplan mit Vorhaben- und Erschließungsplan nach § 12 BauGB aufgestellt.
Die Teiländerung des Flächennutzungsplanes ist erforderlich, damit der in Aufstellung befindliche Bebauungsplan aus dem Flächennutzungsplan entwickelt werden kann.
Der Geltungsbereich des Bebauungsplanes und der Teiländerung des Flächennutzungsplanes liegt in der Gemarkung Bardenbach, Flur 5 innerhalb der Parzelle Nr. 44/49 (Teilfläche laut aktuell geplanter Teilung). Der Geltungsbereich hat eine Größe von 2,00 ha. Die genaue Abgrenzung ist der beigefügten Planzeichnung zu entnehmen.
Gemäß § 3 Abs. 1 BauGB wird hiermit öffentlich bekannt gemacht, dass der Vorentwurf des Bebauungsplans und der Teiländerung des Flächennutzungsplanes in der Zeit vom
26.09.2025 bis einschließlich 31.10.2025 im Rathaus der Stadt Wadern, Marktplatz 13, 66687 Wadern, Zimmer Nr. C104, während der allgemeinen Dienststunden
Mo 08:30 - 12:00 Uhr und 13:30 - 15:30 Uhr
Di 08:30 - 12:00 Uhr
Mi 08:30 - 12:00 Uhr und 13:30 - 15:30 Uhr
Do 08:30 - 12:00 Uhr und 13:30 - 18:00 Uhr
Fr 08:30 - 12:00 Uhr
eingesehen werden kann.
Folgende Unterlagen / umweltbezogenen Informationen werden ausgelegt:
· Diese öffentliche Bekanntmachung nach § 3 Abs. 1 BauGB
· Planzeichnung des Bebauungsplanes (Teil A) mit textlichen Festsetzungen (Teil B)
· Begründung zum Bebauungsplan
· Vorhaben- und Erschließungsplan
· Planzeichnung der Flächennutzungsplan-Teiländerung
· Begründung zur Flächennutzungsplan-Teiländerung
· Gemeinsamer Umweltbericht zu Bebauungsplan und FNP-Teiländerung
Bei Bedarf wird die Planung erläutert.
Der Inhalt der ortsüblichen Bekanntmachung für die frühzeige Beteiligung und die Planunterlagen können ab dem 26.09.2025 auf der Website der Stadt Wadern (https://ssl.wadern.de/bauen-umwelt/stadtentwicklung-stadtplanung/bauleitplanung) und über das zentrale Internetportal des Landes (www.uvp-verbund.de/kartendienste) eingesehen werden.
Die aktuellsten Unterlagen finden Sie wie bisher unter: https://my.hidrive.com/share/5781ij75rj
Während der Auslegungsfrist können von jedermann Stellungnahmen schriftlich, zur Niederschrift oder elektronisch per Mail vorgebracht werden.
Nicht fristgerecht vorgebrachte Stellungnahmen können bei der Beschlussfassung über den Bebauungsplan unberücksichtigt bleiben sofern die Kommune deren Inhalt nicht kannte und nicht hätte kennen müssen und deren Inhalt für die Rechtmäßigkeit des Bauleitplans nicht von Bedeutung ist.
Das Ergebnis der frühzeitigen Beteiligung der Öffentlichkeit wird im weiteren Planaufstellungsverfahren beachtet bzw. von den Beschlussgremien gewissenhaft abgewogen.
Datenschutzhinweis:
Ihre personenbezogenen Daten werden im Rahmen der Beteiligung am Planverfahren verarbeitet. Die Verarbeitung erfolgt gemäß Art. 6 Abs. 1 lit. e DSGVO i.V.m. § 3 Abs. 2 BauGB. Zweck der Datenverarbeitung ist die Bearbeitung der Stellungnahmen zum Bebauungsplan. Es erfolgt keine Weitergabe Ihrer Daten an Dritte, soweit dies nicht gesetzlich vorgeschrieben ist. Die Verarbeitung Ihrer Daten erfolgt nur so lange, wie es für das Planverfahren erforderlich ist.
Anonyme Stellungnahme:
Es besteht die Möglichkeit, eine anonyme Stellungnahme abzugeben. In diesem Fall werden keine personenbezogenen Daten erhoben, und Ihre Anmerkungen werden ohne Zuordnung zu Ihrer Person berücksichtigt.
Hinweis zur Rechtsverwertbarkeit:
Bitte beachten Sie: Anonyme Stellungnahmen können nicht einer bestimmten Person zugeordnet werden. Daher ist eine Verwendung Ihrer anonymen Einwände in einem gerichtlichen Verfahren im Falle einer Klage nicht möglich.
Bitte senden Sie Ihre schriftliche Stellungnahme an Stadtverwaltung Wadern, Fachbereich 4 Bauen/Stadtplanung/Umwelt, Marktplatz 13, 66687 Wadern
Wadern, den 19.09.2025
Jochen Kuttler, Bürgermeister








































